Last Updated on December 9, 2021 by Kevin Agar
Instead of our usual trip to Egypt in October we decided to go to Mauritius for 2 weeks. This was broken down to a week in the South of the Island at Heritage Awali Golf and Spa Resort in Bel Ombre, 4 days at Aanari Hotel & Spa in Flic en Flac on the West coast and 3 days in the North at Coin de Mire Attitude Hotel

Flying from Manchester via Dubai to Mauritius with Emirates wasn’t as bad as it could have been and the transfer to the hotel was ok as well.
This was going to be a relaxing first week with Sandra snorkelling and me photographing the birds and any other wildlife I could find.
I was surprise I didn’t see any birds on the beach or any sea birds flying past. Walking around the gardens did produce a few birds though and I managed to see Zebra Dove, Spotted Dove, Common Myna, Mascarene Martin, Striated Heron, Madagascar Fody, Mauritius Grey White-eye and Malagasy Turtle Dove.

Spotted Dove, Spilopelia chinensis
Canon EOS 7D Mark II 1/1600 s. f/5 iso800 EF500mm f/4L IS USM

Mascarene Martin, Phedina borbonica
Canon EOS 7D Mark II 1/2000 s. f/5 iso800 EF500mm f/4L IS USM

Zebra Dove, Geopelia striata
Canon EOS 7D Mark II 1/8000 s. f/5 iso800 EF500mm f/4L IS USM

Red-whiskered Bulbul, Pycnonotus jocosus
Canon EOS 7D Mark II 1/2000 s. f/5 iso800 EF500mm f/4L IS USM

Mauritius Grey White-eye, Zosterops mauritianus
Canon EOS 7D Mark II 1/400 s. f/4.5 iso800 EF500mm f/4L IS USM
There were also loads of holes near a stream that flowed through the hotel gardens, which were home to some fairly large land crabs.

Land Crab
Canon EOS 7D Mark II 1/1250 s. f/5 iso800 EF500mm f/4L IS USM
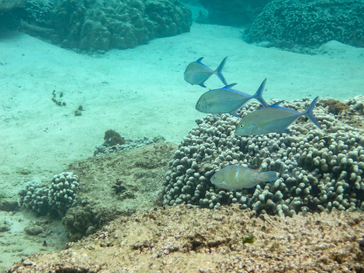
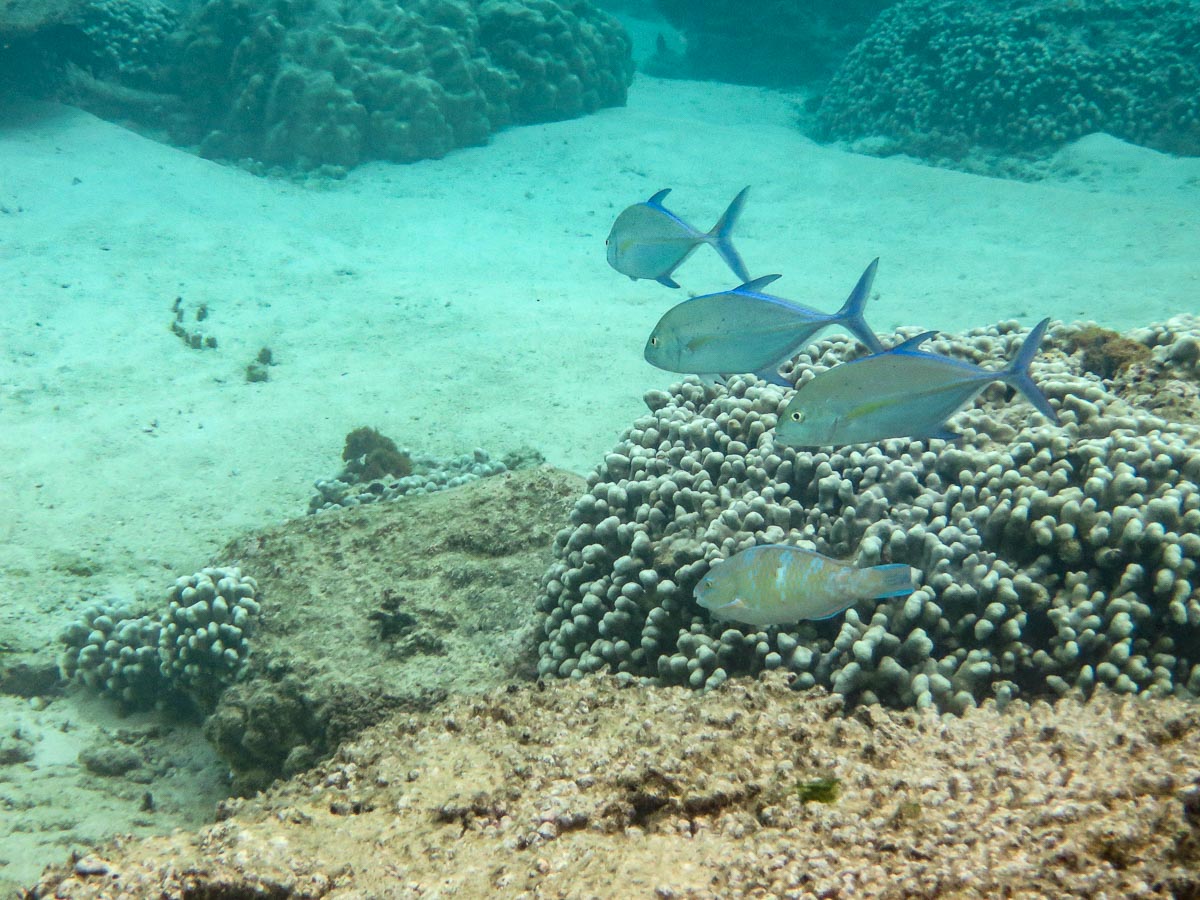
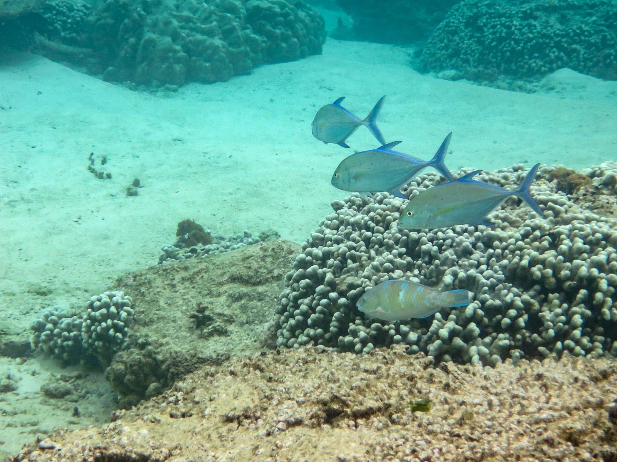
Whilst I was walking around the gardens Sandra was out snorkelling and photographing the coral and fish. This was great for the first couple of days until the underwater housing for the camera leaked and flooded the camera. Here are a few of her shots from before the incident.

Indian Teardrop Butterflyfish, Chaetodon interruptus
Canon PowerShot SX280 HS 1/500 s. f/5.6 iso160 4.5-90.0 mm

Moorish Idol, Zanclus cornutus
Canon PowerShot SX280 HS 1/500 s. f/5.6 iso160 4.5-90.0 mm

View across the coral crops
Canon PowerShot SX280 HS 1/500 s. f/5.6 iso250 4.5-90.0 mm

Melon Butterflyfish, Chaetodon trifasciatus
Canon PowerShot SX280 HS 1/500 s. f/4 iso250 4.5-90.0 mm

Convict Surgeonfish, Acanthurus triostegus
Canon PowerShot SX280 HS 1/500 s. f/8 iso250 4.5-90.0 mm

Bluespotted Cornetfish, Fistularia commersonii
Canon PowerShot SX280 HS 1/500 s. f/5.6 iso200 4.5-90.0 mm

Black Saddled Puffer Canthigaster Valentini
Canon PowerShot SX280 HS 1/500 s. f/5 iso200 4.5-90.0 mm

Anemone
Canon PowerShot SX280 HS 1/500 s. f/5 iso250 4.5-90.0 mm

Yellowstripe Goatfish Mulloidichthys flavolineatus
Canon PowerShot SX280 HS 1/500 s. f/5 iso500 4.5-90.0 mm
Sandra’s favourite, a Moray Eel

Moray Eel
Canon PowerShot SX280 HS 1/500 s. f/5.6 iso400 4.5-90.0 mm

Moray Eel
Canon PowerShot SX280 HS 1/80 s. f/8

Checkerboard Wrasse, Halichoeres hortulanus
Canon PowerShot SX280 HS 1/500 s. f/5.6 iso160 4.5-90.0 mm

View across the coral
Canon PowerShot SX280 HS 1/500 s. f/3.5 iso250 4.5-90.0 mm

Bluefin Trevally, Caranx melampygus
Canon PowerShot SX280 HS 1/500 s. f/4.5 iso400 4.5-90.0 mm
Longnose Butterflyfish, Forcipiger longirostris and Moorish Idol, Zanclus cornutus
Canon PowerShot SX280 HS 1/500 s. f/4.5 iso320 4.5-90.0 mm
It was also a great place to sit with a drink and watch the sunset

Sunset at Bel Ombre
Canon PowerShot SX280 HS 1/500 s. f/4 iso100 4.5-90.0 mm
The next four days were to be a complete contrast as instead of 5 star all inclusive, Sandra had booked a smaller hotel in the town of Flic en Flac. This was across a main road from the beach and only half board. On arrival in Flic en Flac the driver pulled into a supermarket car park and said we had arrived. Not sure what to expect we entered the hotel up a slope and into reception. We had come in via the rear of the hotel and despite the initial shock, the hotel was really good with excellent staff.

Aanari Hotel
VTR-L09 1/370 s. f/2.2 iso50
Although the gardens were very small, they were very nice and it was a pleasure having breakfast and dinner seated in them. It was great to talk with the other guests that included a honeymoon couple who lived 15 miles inland on the island and a family from Reunion Island.

Aanari Hotel Gardens
VTR-L09 1/240 s. f/2.2 iso50
Most evenings we went down to the beach to watch the sunset. It was a great atmosphere with loads of the locals also enjoying eating and drinking whilst watching the sun go down.

Sunset Flic en Flac beach
VTR-L09 1/50 s. f/2.2 iso50

Sunset Flic en Flac beach
VTR-L09 1/50 s. f/2.2 iso80

Sunset Flic en Flac beach
VTR-L09 1/400 s. f/2.2 iso50
Whilst the hotel wasn’t a great place for birds, the beach was a bit more productive and here I saw Zebra Dove, Common Waxbill, Yellow fronted Canary, Common Myna and House Sparrows
During the time at Flic en Flac we rented a car for 2 days to hopefully explore a bit more of the island. First day we went to 7 cascades waterfalls and looked from the top of the falls. The climb down to them was a bit rough and as we only had flipflops on we decided it was foolish to try.
During this day we saw a few different birds including Mascarene Swiftlet and Common Waxbill

Common Waxbill, Estrilda astrild
Canon EOS 7D Mark II 1/3200 s. f/4.5 iso800 EF500mm f/4L IS USM
We also stopped at the viewpoint looking down the Black River Gorge and here we saw 2 very distant White-tailed Tropicbirds as well as some Long-tailed Macaque Monkeys

Long-tailed Macaque Monkey, Macaca fascicularis
Canon EOS 7D Mark II 1/2500 s. f/4.5 iso800 EF500mm f/4L IS USM

White-tailed Tropicbird, Phaethon lepturus
Canon EOS 7D Mark II 1/2000 s. f/4.5 iso800 EF500mm f/4L IS USM
Lunch time we went to Varangue Sur Morne A very nice but expensive restaurant with a great view.

The view from Varangue Sur Morne
VTR-L09 1/850 s. f/2.2 iso50

Sandra with a cheeky Red-whiskered Bulbul
VTR-L09 1/160 s. f/2.2 iso50
On the way back to Flic en Flac we stopped at Tamarin public beach where I saw Yellow-fronted Canary and Madagascar Fody. We went into the La Pirogue Hotel for a drink and a nosey to see what the hotel was like. Looked very nice but maybe a little too modern for our tastes. While we we drinking we saw a Senegal Parrot in a tree. The bar staff said it had been there for the last 2 days and was enjoying the all inclusive. Obviously an escapee.
We returned to the beach near to the hotel for another sunset

Sunset
Canon EOS 7D Mark II 1/1600 s. f/8 iso640 EF500mm f/4L IS USM

Sunset
VTR-L09 1/250 s. f/2.2 iso50
The 2nd day we drove down to Blue Bay on the South East coast near to the airport so that Sandra could do some snorkelling in the marine reserve.

The boat to Blue Bay Marine Reserve
VTR-L09 1/3000 s. f/2.2 iso50

Going to Blue Bay Marine Reserve
Canon EOS 7D Mark II 1/4000 s. f/8 iso640 EF500mm f/4L IS USM
After her snorkelling we went into another hotel, Preskil Island Resort, for lunch and a nosey to see what it was like. It was very nice with a great view.

Lunch at Preskil Island Resort
VTR-L09 1/200 s. f/2.2 iso50

View from Preskil Island Resort
VTR-L09 1/2300 s. f/2.2 iso50
Returning back to Flic en Flac we still had time to see another sunset.

Another Sunset
VTR-L09 1/170 s. f/2.2 iso50
Our next and last destination was Coin de Mire Attitude Hotel on the north coast. Another great relaxing hotel. Nice gardens and the beach was a short walk across the main road. Every day the porter changed the date and design on a display at the entrance to reception.

Daily display done by the porter
SM-A520F 1/180 s. f/1.9 iso40
Another relaxing few days with Sandra snorkelling and me photographing birds. The view from the beach was great and there were even a few birds to see, including Striated Heron, Whimbrel, Common Myna, Madagascar Fody and a fleeting view of a White-tailed Tropicbird.

Coin de Mire Attitude Hotel
SM-A520F 1/280 s. f/1.9 iso40

Daily display done by the porter
SM-A520F 1/150 s. f/1.9 iso40

View of Gunner's Quoin
SM-A520F 1/2800 s. f/1.9 iso40

Bain Boeuf public beach
SM-A520F 1/2500 s. f/1.9 iso40

Madagascar Fody, Foudia madagascariensis
Canon EOS 7D Mark II 1/800 s. f/5 iso400 EF500mm f/4L IS USM

Striated Heron, Butorides striata
Canon EOS 7D Mark II 1/1250 s. f/5 iso800 EF500mm f/4L IS USM

Striated Heron, Butorides striata
Canon EOS 7D Mark II 1/1600 s. f/8 iso320 EF500mm f/4L IS USM
All good things come to an end so it’s the long flights home until the next time. I like to thank Sandra for all the work she does organizing these trips and for putting up with me.

Farewell
SM-A520F 1/1500 s. f/1.9 iso40